VENTA DE TERRENO INDUSTRIAL NEXTIPAC ZAPOPAN JALISCO

  • $8,690,000
Venta
VENTA DE TERRENO INDUSTRIAL NEXTIPAC ZAPOPAN JALISCO
  • $8,690,000

Descripción General

ID de propiedad: HZ6483064
  • Terreno comercial
  • Tipo de propiedad
  • 0
  • Dormitorio
  • 0
  • Baño
  • 0
  • Cochera
  • 1000

Titulo

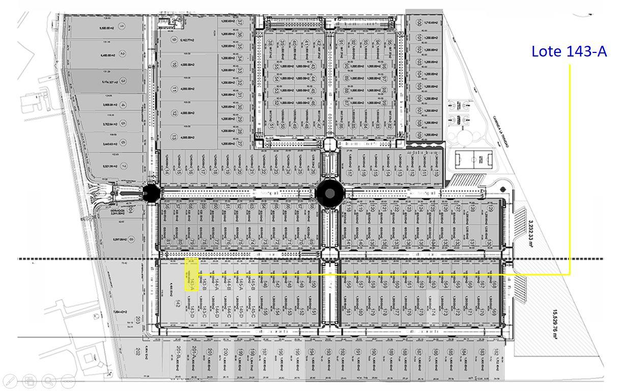
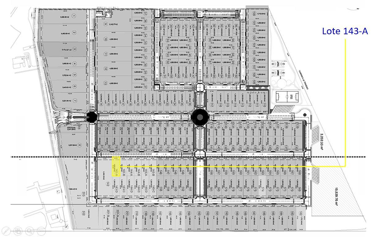
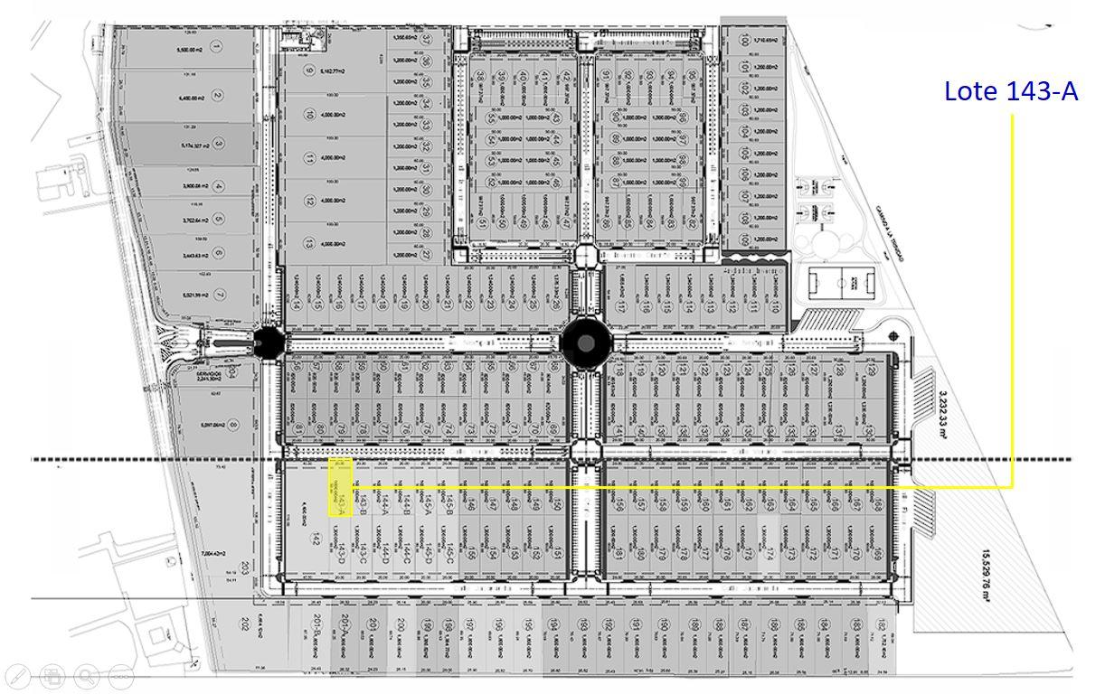
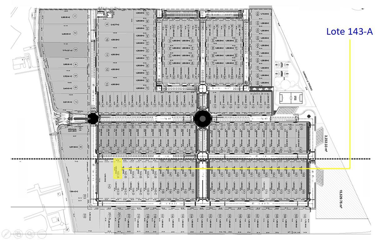
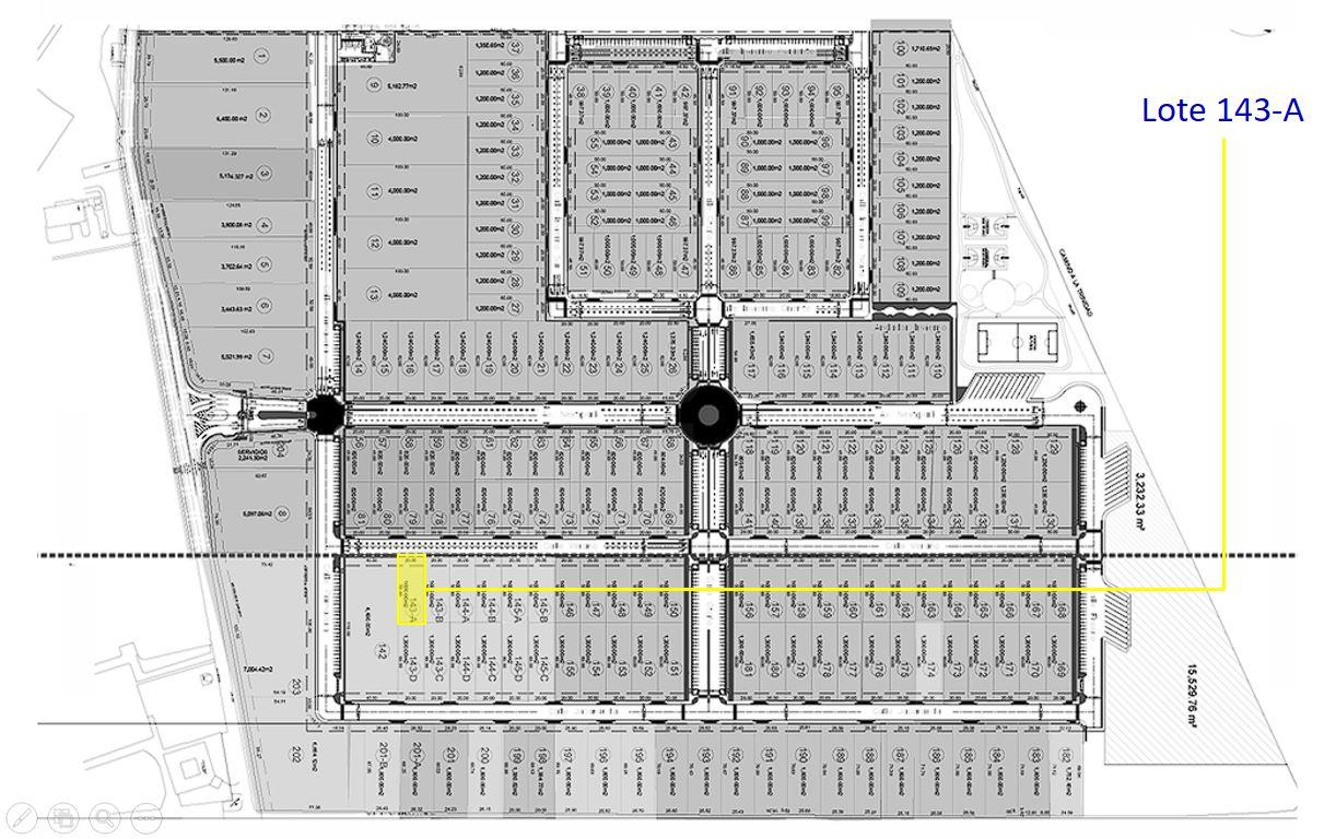
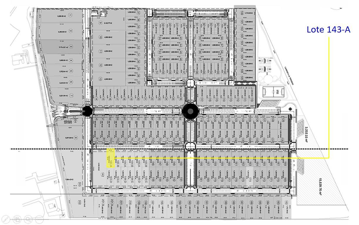
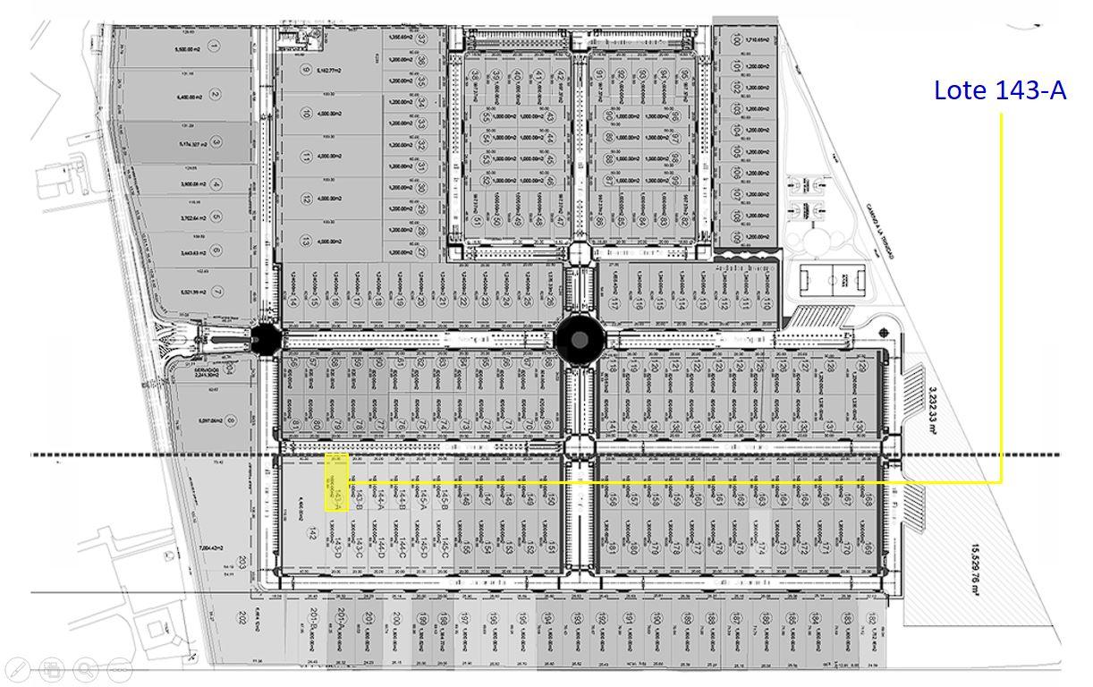
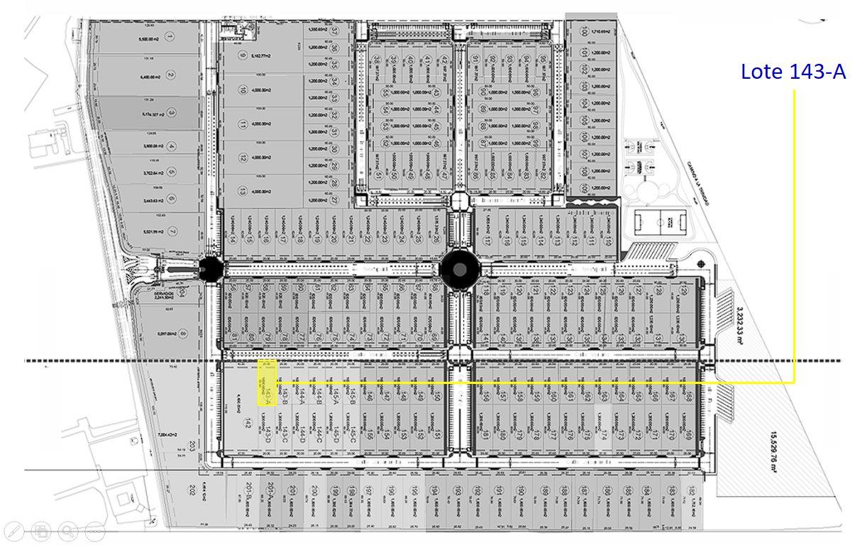
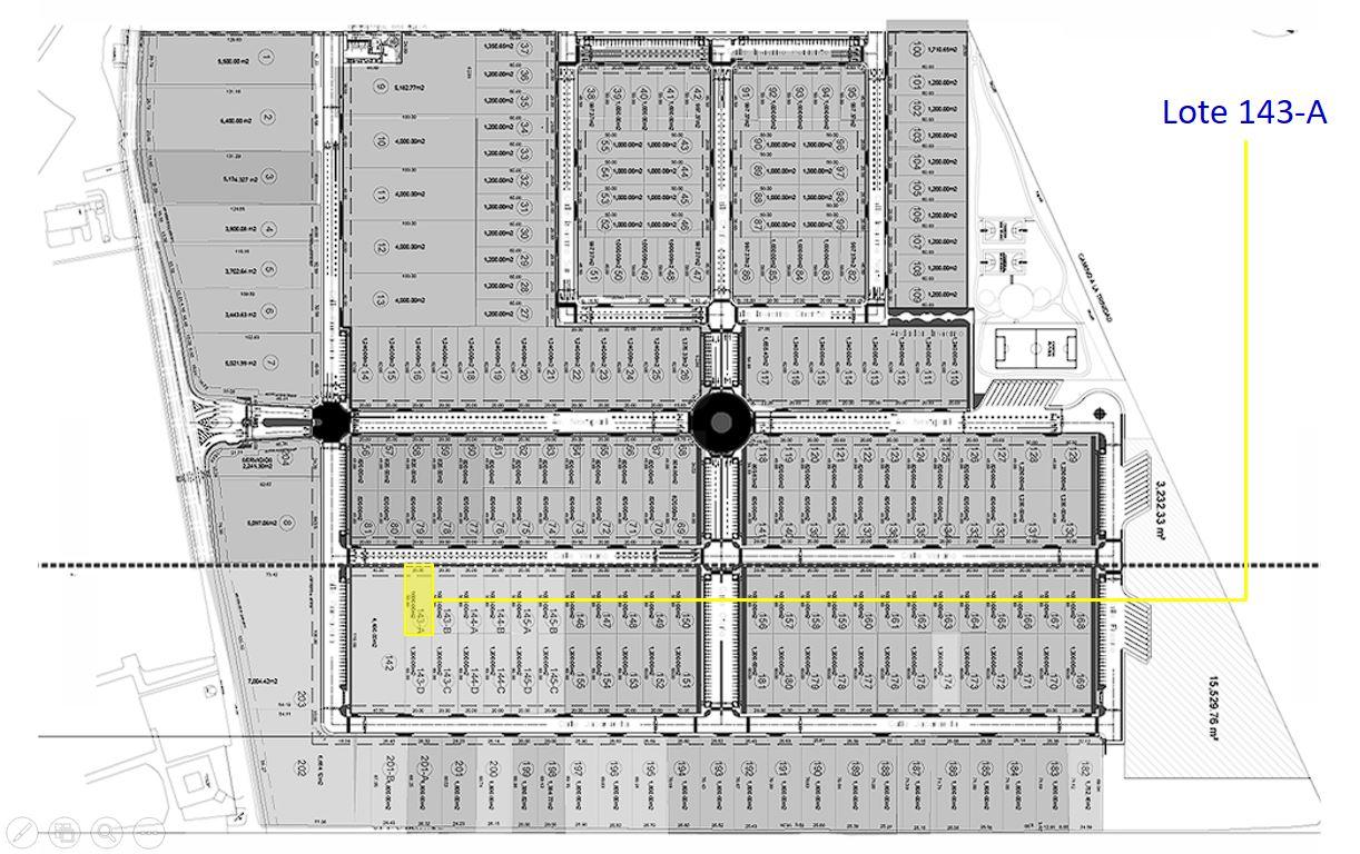
LOTE 143-A

DE LA ZONA

El desarrollo industrial en la zona de La Venta del Astillero, Zapopan, Jalisco, ha estado en crecimiento en los últimos años, principalmente por proximidad a importantes vías de comunicación, como la carretera a Nogales (federal 15D) y el anillo periférico, ha comenzado a atraer interés industrial y logístico.
Entre sus factores sobresalientes tenemos su ubicación estratégica, por su cercanía a las principales vías de transporte y su posición entre Guadalajara y el Puerto de Manzanillo (uno de los puertos más importantes del país) hacen de La Venta del Astillero una ubicación atractiva para empresas logísticas y de distribución. También su crecimiento del corredor industrial, ya que se está detonando una expansión del corredor industrial hacia el norte de Zapopan que ha impulsado la construcción de naves industriales y parques logísticos en zonas cercanas, como El Arenal y Carretera a Nogales.
La mejora en la infraestructura vial y de servicios ha generado condiciones favorables para nuevas inversiones industriales, aunque la mayoría de los desarrollos recientes están enfocados en la industria ligera, bodegas logísticas y centros de distribución.

DEL PARQUE
Desarrollo industrial de 43 hectáreas en total, ubicado al norte de Zapopan Jalisco.

Desarrollado para cumplir lineamientos de empresas nacionales extranjeras, con características como:
• Ingreso controlado.
• Vialidades de concreto hidráulico.
• Instalaciones eléctricas de ½ tensión.
• Red contra incendios.
• Planta de tratamiento de agua.
• Pozo de agua propio.
• 303 cajones para visitantes.
• 32 drop lofts.
• Business Center.
• Cancha de usos múltiples.

DEL TERRENO
Últimos lotes. El 143-A cuenta con 1000 m2 de superficie con un COS de 0.80. 20 metros de frente por 50 metros de profundidad. Servidumbre frontal de 5 metros. Suministro de agua, red de drenaje sanitaria y pluvial. Suministro de energía de ½ tensión. Para entrega Febrero 2025. Pueden aplicar promociones.
Entrega Febrero 2025.
Disponibilidad, promociones y precio sujetos a cambio sin previo aviso.

Dirección

  • Dirección VENTA DE TERRENO INDUSTRIAL NEXTIPAC ZAPOPAN JALISCO
  • Ciudad Jalisco
  • Estado/Municipio México
  • Colonia Zapopan

Detalles

Actualizado en abril 20, 2026 a 12:04 am
  • ID de propiedad: HZ6483064
  • Precio: $8,690,000
  • Tamaño de propiedad: 1000 m²
  • Dormitorio: 0
  • Baño: 0
  • Cochera: 0
  • Tipo de propiedad: Terreno comercial
  • Estado de la propiedad: Venta

Anuncios Similares

Comparar listados

Comparar
Juan Pablo Perez
  • Juan Pablo Perez